终南捷径 | 谁不想事半功倍,但这并不是投机取巧的理由

【说古道今】
唐朝时,人们都比较崇拜隐士,认为他们是有学问、有智慧的人。而且,很多隐士被征召为官,甚至在几番推辞之后仍然被重用。当时,有一个叫卢藏用的人,便从中看到了“希望”。
刘肃《大唐新语·隐逸》载:“卢藏用始隐于终南山中,中宗朝累居要职。有道士司马承祯者,睿宗迎至京,将还。藏用指终南山谓之曰:‘此中大有佳处,何必在远!’承祯徐答曰:‘以仆所观,乃仕宦捷径耳。’藏用有惭色。”卢藏用考取进士后,隐居在长安附近的终南山,以期得到朝廷征用。果然,武则天时被征召入朝,任左拾遗,唐中宗时多次担任重要职务。当时还有一位真正的隐士叫司马承祯,唐睿宗时曾召他入京为官,但他只在长安住了不久,就要求重新隐居。他离开京城的时候,卢藏用指着终南山对司马承祯说:“那里大有好处啊,何必要到更远的地方!”司马承祯缓缓地说:“在我看来,那只不过是一条做官的近道啊!”一句话戳到了卢藏用的软肋,他只得面带愧色,尴尬地离开了。
卢藏用虽然在终南山隐居,但他心里想的仍然是被朝廷征用,所以《新唐书·卢藏用传》说他被人视为“随驾隐士”。真隐士都是淡泊名利,卢藏用则是沽名钓誉,他只是把隐士的身份当成了进入官场的“入场券”而已。后世即以“终南捷径”为典,代指为谋取官职、名利等的便捷途径。刘克庄诗《六和二首》其一:“终南一径非常捷,自是吾徒问路蹉。”
卢藏用如愿以偿做了官,甚至做了大官,但却把他人格中最龌龊的一面暴露在了世人面前。在不知底细的人面前,他自然可以洋洋得意;当他被人戳穿的时候,他就会无地自容。
谁不想事半功倍,但这并不是投机取巧的理由;谁不想一举两得,但这并不是投机钻营的借口。我们说要老老实实做人,踏踏实实做事,其实也包含着另外一层意思,就是清清白白做人,堂堂正正做事。“抄近道”肯定是想更快一点到达目的地,如果真的将之视为“成功之道”,那就难免会“马失前蹄”。
(尚之)
【草木清芬】


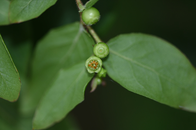
名称:无梗越橘
分布:陇南
简介:无梗越橘,落叶灌木。花期6-7月,果期9-10月。花冠黄绿色。浆果球形,成熟时紫黑色。果实味甜,可生食或加工制果酱。枝叶繁茂可用于园林绿化。
(植物资料由西北师范大学白增福、陈学林提供)
- 2025-12-15锚定新目标 奋力开新局——2025年中央经济工作会议侧记
- 2025-12-15纪检监察干部学习领会中央经济工作会议精神 奋力谱写中国式现代化建设新篇章
- 2025-12-15黑龙江鸡西打好优化营商环境组合拳 清风护企
- 2025-12-15甘肃做细做实回访教育 卸下包袱重拾干劲
西北角
中国甘肃网微信
微博甘肃
学习强国
今日头条号










